liver clin path SDL Flashcards

(30 cards)

1
Q

into which vessel is blood from the GIT emptying?

A

hepatic portal vein

How well did you know this?
1
Not at all
2
3
4
5
Perfectly
2
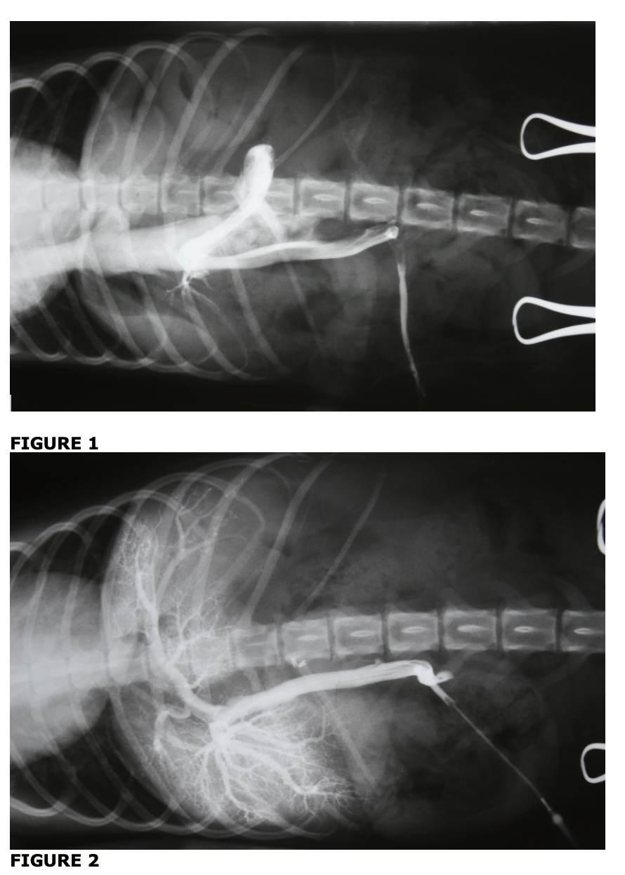
Q

which image shows a normal hepatic portal vascular pattern. these images are from the same patient. what has changed from one image to another
in one image, blood is bypassing the liver and emptying into which vessel?

A

image 2 = normal
in figure 2, clips have been applied to close the shunt and allow blood to flow into the liver
blood entering into vena cava and bypassing liver

How well did you know this?
1
Not at all
2
3
4
5
Perfectly
3
Q

in patients with congenital hepatic to vena cava shunt abnormailites, why might they exibit neurological signs

A

ammonia from the blood stream isnt being filtered and converted properly. toxins in the blood re-enter circulation

How well did you know this?
1
Not at all
2
3
4
5
Perfectly
4
Q

why would a patient with urea cycle enzyme deficiency show neurological signs

A

cant convert ammonia into urea

How well did you know this?
1
Not at all
2
3
4
5
Perfectly
5
Q

what is a xenobiotic

A

a chemical compound that is foreign to an organism

How well did you know this?
1
Not at all
2
3
4
5
Perfectly
6
Q

why is acetominophen dangerous to cats

A
  • they are deficient in liver enzyme glucuronyl transferase which is crucial for metabolism and detox of acetaminophen
  • have limited capacity to glucuronidate this drug.
  • In cats, acetaminophen is primarily metabolized via sulfation; when this pathway is saturated, toxic metabolites are produced.

glucuronidate and sulfation both part of phase 2 of metabolism

How well did you know this?
1
Not at all
2
3
4
5
Perfectly
7
Q

why cant we determine liver function by screening for all/any liver enzymes in circulation

A

most of the metabolic enzymes used by the liver remain contained within the cells of the liver and dont enter circulation

How well did you know this?
1
Not at all
2
3
4
5
Perfectly
8
Q

which enzymes are measurable in the circulation for liver function

A
  • alkaline phosphatase (ALKP)
  • gamma glutamyl transferase (GGT)
  • alanine aminotransferase (ALT)
  • aspartate aminotransferase (AST)
How well did you know this?
1
Not at all
2
3
4
5
Perfectly
9
Q

can alkaline phosphatase come from other cells in the body (other than liver?

A

bone but also can be induced by certain drugs in dogs

How well did you know this?
1
Not at all
2
3
4
5
Perfectly
10
Q

does gamma glutamyl transferase leak from hepatocytes or biliary lining cells

A

biliary

How well did you know this?
1
Not at all
2
3
4
5
Perfectly
11
Q

can gamma glutamyl transferase be released from tissues other than the liver?

A

only liver GGT enters the blood. renal GGT enters urine and mammary GGT enters milk

How well did you know this?
1
Not at all
2
3
4
5
Perfectly
12
Q

does alanine aminotransferase leak from hepatocytes or biliary lining cells

A

hepatocytes

How well did you know this?
1
Not at all
2
3
4
5
Perfectly
13
Q

can alanin aminotransferase be released from tissues other than the liver into circulation

A

almost exclusively from liver in small animals but in horses and farm animals but ALT isnt a reliable indicator of liver disease in large animals

How well did you know this?
1
Not at all
2
3
4
5
Perfectly
14
Q

does aspartate aminotransferase leak from hepatocytes or biliary lining cells

A

hepatocytes

How well did you know this?
1
Not at all
2
3
4
5
Perfectly
15
Q

can asparatate aminotransferase be leaked by cells other than the liver into circulation

A

not specific to the liver - skeletal muscle releases lots. would have to also look at enzymes related to muscle damage and if there are none then you could determine coming from liver

How well did you know this?
1
Not at all
2
3
4
5
Perfectly
16
Q

give examples of primary liver disease

A
  • inflammation (hepatitis)
  • parasitism (flukes)
  • biliary obstruction (gall stone)
17
Q

give examples ofdiseases that lead to secondary liver pathology

A
  • energy metabolism disorders (diabetes mellitus/fatty liver)
  • systemic inflammation/sepsis (pyometra)
  • pathology in the GIT or pancreas sending inflammatory processes up the portal vein
18
Q

does size increase of circulating liver enzymes correlate to the degree of overall damage

A

not always -
Because they are leakage enzymes, the size of increase in the circulation doesn’t always correlate with degree of overall liver damage. A small piece of very badly damaged liver (e.g, area of one lobe bruised by a car accident) could release as much or more enzyme as the whole of the liver mildly affected by a generalised hepatopathy. Overall liver function is likely to be OK in the case of only a part of the liver affected (functional reserve).

19
Q

why dont we always just test for things we know the healthy liver is supposed to possess

A

we could test for albumin, urea, cholesterol, bilirubin and ammonia but often the degree of pathology to create changes in these measures has to be very severe. we would rather test for subtle liver dysfunction

20
Q

explain the principle of testing serum bile acids for hepatic function

A

assesses how well bile acids are being cleared out of the entero-hepatic recirculation by the liver

21
Q

why do we measure bile acids before and after a meal to assess liver function? why dont we do this in horses

A

because it is a “challenge” test
- gall bladder contraction initiated by feeding creates a bolus of bile acids for the liver to extract after intestinal absorption.
- This is not done in horses because they lack a gall bladder

22
Q

look at the following results. which patient is likely to have a bile duct obstruction and which is more likely to have received a hepatotoxic drug

A

Patient 1 is more likely to have the bile duct obstruction and the impact on the biliary lining is reflected in the relatively higher activity of AlkPhos (a biliary enzyme). Patient 2, more suggestive of toxic insult directly to the hepatocytes (the increase in ALT is relatively greater than the increase in ALKP)

23
Q

the liver synthesizes which of the clotting factors

A

all EXCEPT factor VIII

24
Q

which clotting factors are vitamin K dependent

A

factors 2, 7, 9 and 10

25
in addition to synthesizing clotting factors, what else does the liver do in terms of coagulation
INHIBITORS of coagulation and fibrinolysis and fibrinolytic proteins, and clears and catabolises activated coagulation factors, plasminogen activators and breakdown products of fibrinolysis such as fibrin degradation products (FDPs).
26
In a patient with a coagulopathy resulting from hepatic failure, which of the following tests of the coagulation mechanism would be likely to be abnormal? - platelet count - von willebrand factor - whole blood clotting time - activated partial thromboplastin time - one stage prothrombin time - fibrin degradation products - fibrinogen
Any, but not necessarily all of the above with exception of platelet count and vWF. The impact on liver dysfunction on coagulation tests results depends on severity and the hepatic products affected. Liver disease can cause decrease production of important factors; alter VitK metabolism so the vitamin K dependent factors are first affected or be so severe that the liver struggles to make fibrinogen for the final steps of the common pathway. Factor VII is often the first and most easily affected by both VitK antagonism and liver diseases causing either an increase in PT with normal aPTT or a much bigger prolongation of PT than of aPTT when aPTT is also abnormal.
27
why do some animals with liver disease have yellow mucus membranes and sclera
in a healthy animal, when RBCs are broken down bilirubin is transported to the liver where it can eventually be excreted in the bile and eventually excreted from the body via feces - in liver disease the hepatocytes lose their ability to properly take up, conjugate, and excrete bilirubin. This leads to the buildup of unconjugated bilirubin in the blood. - in cases of biliary obstruction, prevents the excretion of conjugated bilirubin into the intestines. This results in the reflux of conjugated bilirubin back into the blood.
28
why do some animals with advanced liver disease have ascites
- in cases of scarring, resistance to blood flow through liver leads to build up of blood in portal vein and subsequent leakage into the abdomin - if the liver's ability to make albumin is compromised: Lower albumin levels=the oncotic pressure drops, making it easier for fluid to leak out of blood vessels into surrounding tissues and the abdominal cavity.
29
what is a transudate
a type of fluid that accumulates in body cavities (such as the pleural, peritoneal, or pericardial spaces) due to an imbalance in hydrostatic and oncotic pressures, rather than from inflammation or infection
30
what os bottle jaw and how is it related to liver disease
bottle jaw = edema of the lower jaw (accumulation of fluid) - in liver disease we see bottle jaw due to either liver flukes which damage to liver tissue or in cases where liver is unable to produce albumin - fluid pools in the jaw and neck due to gravity